«Ο κυκλώνας Μελίσα, που μπορεί να είναι ο ισχυρότερος στην ιστορία της Τζαμάικα και έχει ήδη στοιχίσει τη ζωή σε αρκετούς ανθρώπους, πιθανόν να επηρεάσει άμεσα τουλάχιστον 1,5 εκατομμύριο ανθρώπους», προειδοποίησε σήμερα ο Ερυθρός Σταυρός.
«Ωστόσο, αυτός ο αριθμός πιθανόν να είναι πολύ μικρότερος από την πραγματικότητα, καθώς οι επιπτώσεις του στον πληθυσμό, θα περιλαμβάνουν προβλήματα σε βασικές υπηρεσίες, στις αγορές και φυσικά σε αποκλεισμούς δρόμων.
Heavenly Father, we lift up the people of Jamaica as Hurricane Melissa strikes their island. Please place Your hand of protection over every family, home, and community. Calm the winds, lessen the destruction, and bring peace to fearful hearts. Strengthen first responders and… pic.twitter.com/b7hmBovm3W
— Living Christian (@livechristian1) October 27, 2025
Αυτό σημαίνει ότι ολόκληρος ο πληθυσμός, θα μπορούσε να επηρεαστεί με τον έναν ή τον άλλον τρόπο», δήλωσε σε συνέντευξη Τύπου ο Νεσεφόρ Μγκέντι, επικεφαλής της αντιπροσωπείας στη Διεθνή Ομοσπονδία του Ερυθρού Σταυρού.
Ο Παγκόσμιος Μετεωρολογικός Οργανισμός (WMO) ανακοίνωσε ότι αναμένει σήμερα μια εικόνα καταστροφής στην Τζαμάικα, καθώς ο Μελίσα αναμένεται να φτάσει στη στεριά συνοδευόμενος από ανέμους, των οποίων η ταχύτητα ξεπερνάει τα 300 χλμ/ώρα, πλημμύρες και κατολισθήσεις.
Ο Μελίσα είναι ο σφοδρότερος κυκλώνας που πλήττει το νησί αυτό τον αιώνα.
This is a truly terrifying image – Jamaica in relation to the actual size of Hurricane Melissa as it approaches the island.
Whatever God you pray to, or not, I reckon the people of Jamaica could do with some divine intervention right now. 🙏 pic.twitter.com/If3B2LXUpt
— Keith A Pearson (@keithapearson) October 28, 2025
«Για την Τζαμάικα θα είναι ο κυκλώνας του αιώνα, με βεβαιότητα», σχολίασε η ειδική του WMO στους τροπικούς κυκλώνες Αν-Κλερ Φοντάν, σε συνέντευξη Τύπου στη Γενεύη.
Ο τυφώνας Μελίσα έχει ήδη προκαλέσει τέσσερις θανάτους στην Αϊτή και τη Δομινικανή Δημοκρατία.
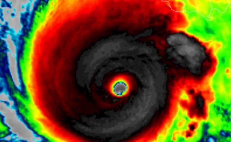
We are witnessing some of the most jaw-dropping hurricane satellite imagery ever recorded in the Atlantic.
Category 5 Hurricane Melissa is stalled off Jamaica with near-perfect structure and a crystal-clear eye. pic.twitter.com/Cu6tgJRFmL
— Colin McCarthy (@US_Stormwatch) October 28, 2025
Καθώς ο τυφώνας Μελίσα πλησίαζε απειλητικά, οι Αρχές της Τζαμάικα έκλεισαν τα λιμάνια και το διεθνές αεροδρόμιο της πρωτεύουσας. Ο τυφώνας απειλεί επίσης τις ανατολικές ακτές της Κούβας, τις νότιες Μπαχάμες και τα νησιά Τέρκς και Κέικος.
Sped up video of the Hurricane Hunters passing through the eye of Category 5 Hurricane Melissa today, just to the south of Jamaica.
Speechless. https://t.co/AkAS4VZ3ij pic.twitter.com/6KsMQyt2fF
— Backpirch Weather (@BackpirchCrew) October 27, 2025
Ο τελευταίος ισχυρός τυφώνας που σάρωσε την Τζαμάικα ήταν ο Γκίλμπερτ τον Σεπτέμβριο του 1988, που στοίχισε τη ζωή σε 40 ανθρώπους και προκάλεσε εκτεταμένες καταστροφές σε όλη τη χώρα. Έκτοτε, η νήσος έχει πληγεί από αρκετούς κυκλώνες, με πιο πρόσφατο τον Μπέριλ τον Ιούλιο του 2024.
Απρόσμενα ισχυρός για την εποχή, άφησε πίσω τουλάχιστον τέσσερις νεκρούς.
Πηγή: ΑΠΕ





